Unfortunately, poor weather plagued my last days on Little Cayman before I made an abrupt exit, just missing the hurricane. Despite the weather, I did make a couple of dives and a handful of snorkels, which gave me a better feel for the quality of this reef ecosystem. In a nutshell, the reef seems to be in great shape, with large, abundant carnivores (grouper, snapper, jacks, barracuda, sharks), abundant herbivores (parrotfish and surgeonfish), abundant coral (>20% cover in some areas), and low benthic algae cover (remember, algae are the enemy–see Research for more information). This pattern in the food web is an interesting one, because it seemingly contrasts classic ecology theory, which suggests that the base of the food web (in this case, benthic algae) should be much more abundant than the consumers (in this case, herbivores; conceptual diagram below).

But in the healthy reef system of Little Cayman, if you took out and weighed all of the herbivores and all of the algae, the herbivores would weigh more.
How is this possible?
Well, a similar pattern was recently observed in the Northwest Hawaiian Islands, home to what are considered by some to be the most pristine coral reefs in the world (click here for more information on this study). These pattern can exist, with consumers outweighing their food source and not starving to death, due to differences in turnover. In the reefs around Little Cayman and the Northwest Hawaiian Islands, the standing stock of algae is suppressed by the abundant herbivores that are protected from fishing, but the growth rate of algae is astronomically higher than that of herbivorous fish. This means that production over time (instead of standing stock), remains much higher for algae than fish in healthy reef systems. As a result, when disturbances are diligently limited in a reef, you can get a lot of fish of all types and still have a lot of coral cover to regenerate and maintain the reef structure. In short, if we scale back our impacts, the ecosystem can take care of itself! Go Mother Nature!
Here are some of my favorite pics from the trip from below the surface:

This 2.5 ft (0.8 m) Nassau grouper followed us for most of one of our dives on the fore reef. Maybe someone has been feeding him?

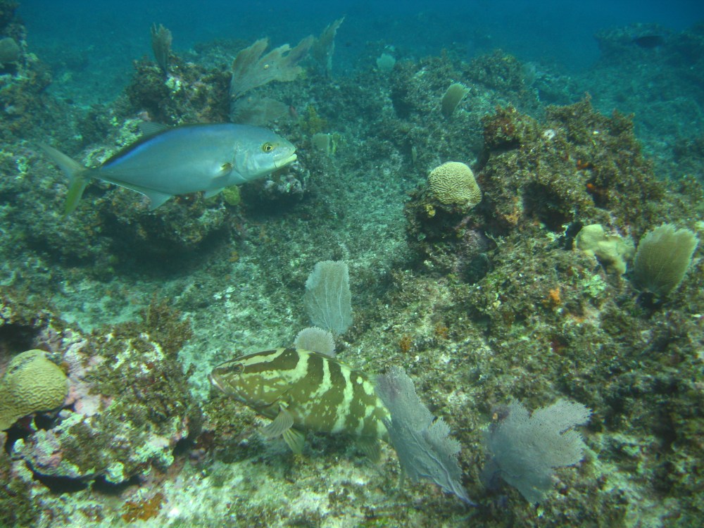
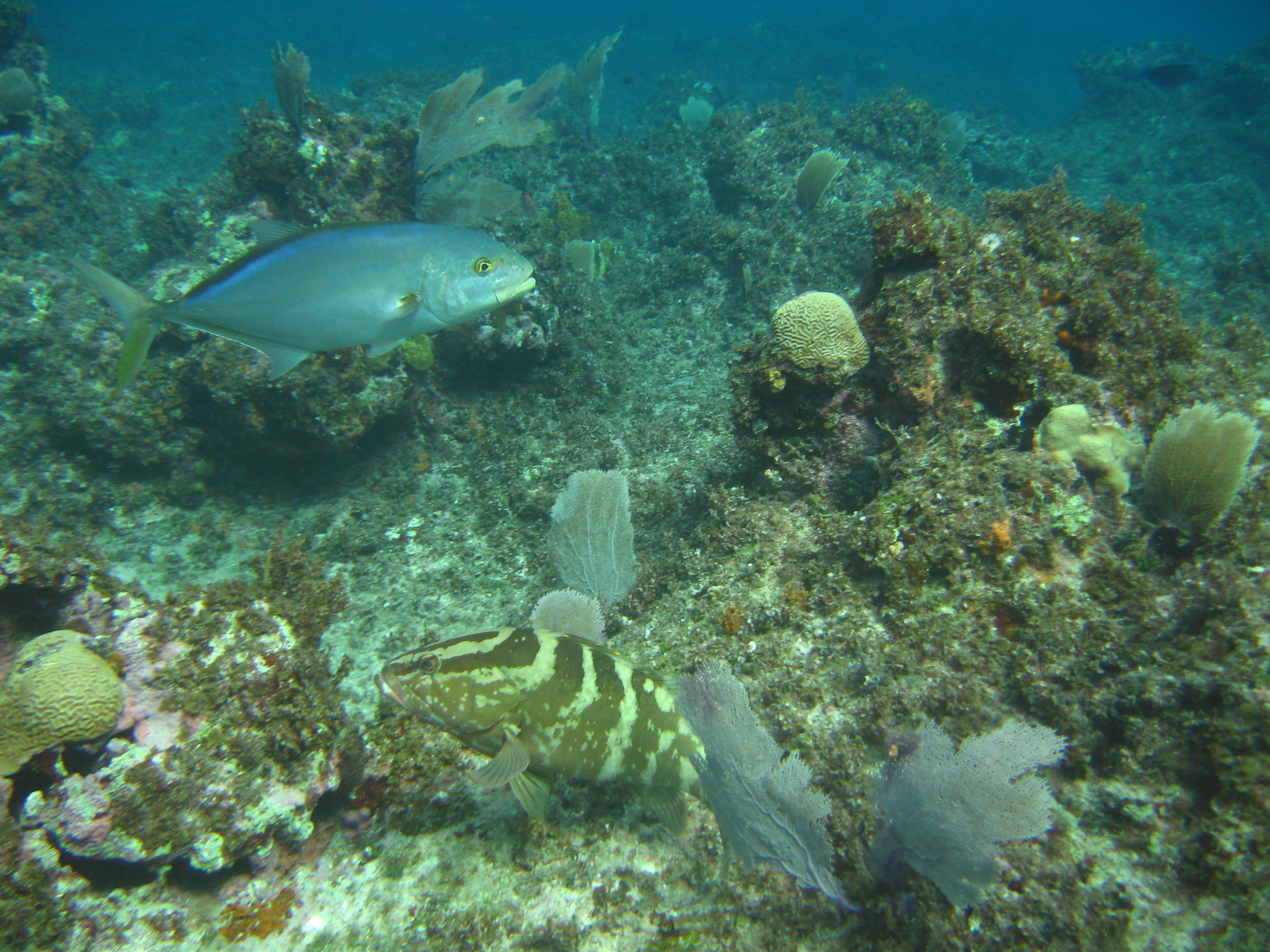
A big pair: This Nassau grouper (bottom) and jack (top) seemed inseparable. Maybe they help each other hunt? We know that groupers and eels do this...

This 4.5 ft (1.5 m) nurse shark surprised me out of no where! These guys are all over the place around Little Cayman, but luckily for me they are quite harmless (they mostly eat small fish, shrimp, and crabs).
This trip was successful in that I was introduced to a lush, healthy reef system, teeming with life. As I mentioned in my last post, this has changed my perspective (or shifted the baseline in my mind) for reefs in the Caribbean. However, while working in Little Cayman would be a pleasure, obtaining permits to conduct nutrient pollution research may be difficult or impossible, given the amount of protection allotted to this ecosystem. Either way, it’s nice to know this reef exists and it was great to meet and interact with the staff at CCMI. If I go back, I will certainly explore the famous reef wall at Bloody Bay. Weather prevented this trip this round 😦
Mike