A new perspective on Caribbean reef potential

We dodged a storm in South Florida and made it to Little Cayman Monday night, as planned. Upon viewing it from the island-hopper prop plane, Little Cayman was smaller than I’d expected. It is just 10 x 2 miles, but the limited land cultivation on the island contributes to its ‘small feel’. This was my first impression anyway.

The station where we are staying at is the Central Caribbean Marine Institute (CCMI), a modern research station with very friendly staff, an incredible location next to the reef (will revisit this) and, much to my surprise, air conditioned dorm rooms! Rare in my experiences at remote, tropical field stations…

We spent the day yesterday getting a tour of the perimeter of the island from Professor Tom Frazer, who traveled with us from the University of Florida, followed by an afternoon-long snorkel in the station’s backyard.

The reef closest to shore (fringing reef) was a lively place, full of small schools of herbivorous fish, feeding voraciously on turf algae–a similar site to the reefs in and around Akumal, Mexico. The snorkel took a turn for the unexpected when I ventured further off, ~ 3oo m past the reef crest. After swimming over 150 m of barren sand flats, we arrived at a lush barrier reef, teeming with life. This area was covered in hard and soft corals and overrun with reef fish, from large predatory barracuda, snapper and jacks to an array of small, algal-eating surgeonfish. We also encountered a hawksbill seaturtle and several rays and nurse sharks, but the most striking encounter for me was with a Nassau grouper over a meter long. When I ducked down to get a closer look at this massive fish at about 8 meters depth, it did not seem even slightly disturbed by my presence. If anything, it seemed curious. I’ve spent the last two summers in the reefs of Moorea, French Polynesia where fishing of groupers and other sizable reef fish is widespread. As a result, these fish are not commonly seen there, as they associate humans with spears being shot at their faces. I can tell that this Caymanian reef has been protected from fishing for a while (over 25 years, actually).

The reef may have been a little too nice actually, as I flooded my 10 ft waterproof-rated camera when I took video at 25 feet depth. You tend to forget these details when a lush reef takes you by surprise. Nonetheless, I got a few shots:

Massive conchs were found all over the sandy bottom areas of the reef.

This one was giving me the stink eye.

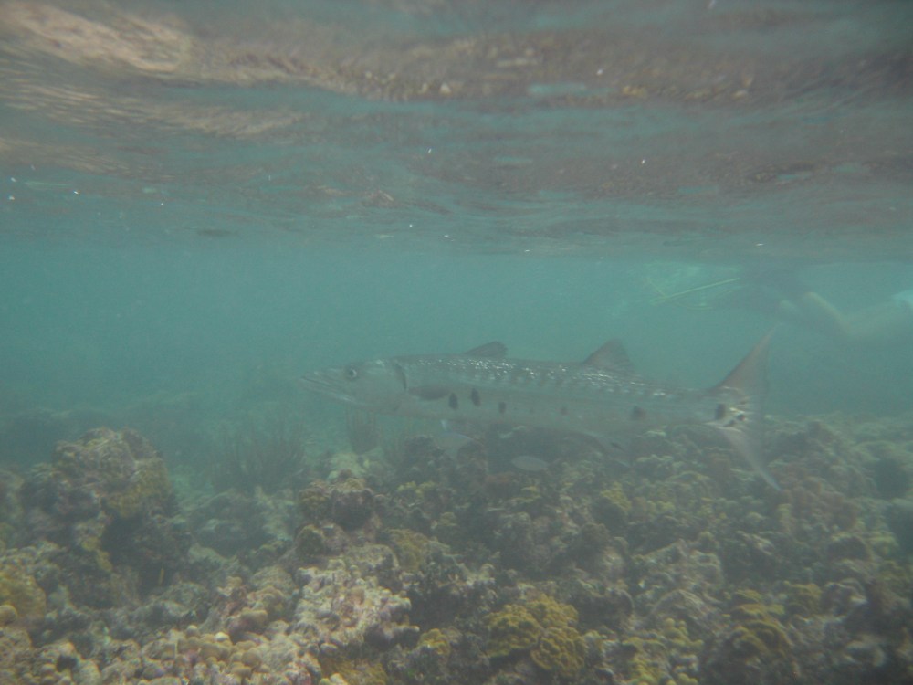
This intimidating barracuda (over 1.5 meters) snuck up on us and almost ran into Tom's face.

I found this hermit crab hidden among the reef algae inhabiting a conch shell three times its size!

One Comment on “A new perspective on Caribbean reef potential

  1. Amazing pictures Mike. I’ll send you some of our shark dive next month. Keep doin the damn thing.

Leave a comment